PROJECTS

Aerial view of a suburban area with a small pond, residential houses, and a winding road under construction, with vehicles parked on the new asphalt.

Campbell Ridge

HARNETT COUNTY

Site plan for the Old Smithfield Road Subdivision in Nash County, North Carolina, showing layout of streets, lots, and roads including Lori Ann Road, Dalton Road, and Old Smithfield Road.

Juniper Ridge

NASH COUNTY

Detailed site plan for a residential development project on Barwell Road, Raleigh, North Carolina, including lot layouts, street configuration, parking calculations, legend, notes, revisions, and relevant technical data.

Olde Town Place

RALEIGH, NORTH CAROLINA

Site plan for DABNEY VILLAGE development showing roads, green spaces, wetland areas, and residential PODs labeled 1 through 6, with an industrial POD 4 at the bottom and streets named Street C, Street B, Street H, Village Main Street, and DABNEY ROAD. Blue wetlands and streams are visible, along with property boundaries, buffers, and zoning labels.

Dabney Village

HENDERSON, NORTH CAROLINA

A detailed black and white site plan for a residential development with labeled sheets, street layouts, and legend. Key elements include property lines, streets, lot divisions, and topographical features.

Maple Grove

ROCKY MOUNT, NORTH CAROLINA

A detailed site development plan showing proposed residential neighborhoods, open spaces, wetlands, buffers, roads, and site data annotations with color-coding for different land use zones.

Pine Valley / Alston Ridge

FRANKLINTON, NORTH CAROLINA

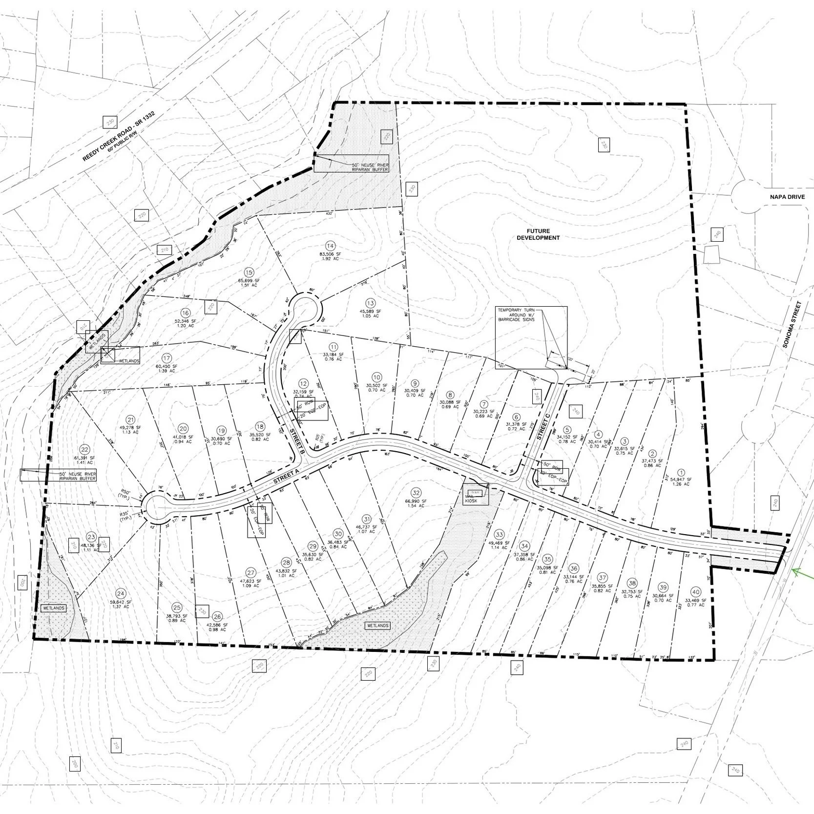
Site plan map showing lot layouts, roads, and future development area with contour lines and labels.

Jasper Landing

JOHNSTON COUNTY

Aerial view of a large construction site with cleared land, dirt roads, and machinery, surrounded by dense green trees.

Mill Stone Creek

WILSON, NORTH CAROLINA

A detailed site plan map showing the layout of a subdivision with roads, lots, buffers, and existing features, including Weavers Pond subdivision and Weavers Pond Drive in Zebulon, North Carolina.

Weaver’s Pointe

ZEBULON, NORTH CAROLINA

A detailed blueprint of a residential development plan showing phased construction stages, street layouts, lot boundaries, drainage and stormwater management features, buffers, and easements.

Weaver’s Ridge

ZEBULON, NORTH CAROLINA